横浜市緑区の一戸建て物件(新築・中古・建売)購入情報
「横浜市緑区」で8件の一戸建てが見つかりました。
横浜市緑区の一戸建て・分譲住宅情報を、新築から中古まで幅広くご紹介した総合ページです。横浜市緑区で戸建て住宅をお探しの方はウスイホームにお任せください。
該当物件8件
×
チェックした物件を
新築一戸建
横浜市緑区三保町5期新築戸建
新築一戸建
セールスポイント
【閑静な住宅街に新築戸建完成~暮らしを彩る充実の設備完備~】
◇広々18帖以上のリビングダイニング!
◇中山駅まで15分の好立地!
◇周辺にスーパー・コンビニ・小学校など生活利便性良好です!!
所在地 |
神奈川県横浜市緑区三保町 |
交通 |
横浜線「中山」駅 徒歩15分 |
|---|---|---|---|
築年数/階数 |
新築 / 2階建 |
販売価格
間取り
建物面積
土地面積
マイページ
詳細
中古一戸建
【北東角地×住友林業施工×三保町中古戸建】
中古一戸建
セールスポイント
【北東角地×住友林業施工リフォーム済×三保町中古戸建】
■陽当り良好なお庭付き!
■前面道路約6.5m!開放感のある角地
■LDK18帖×主寝室8.5帖のゆとりある住空間
■食洗機や浴室乾燥機など家事時短設備が充実
■水廻りをまとめた家事動線の考えられた間取
キッチン・洗面所の横に家事室あり♪
■すっきりお洒落な暮らしを実現できる豊富な収納
所在地 |
神奈川県横浜市緑区三保町 |
建物面積 |
110.63㎡ |
||
|---|---|---|---|---|---|
販売価格 |
3980万円 |
築年数 |
築35年 |
間取り |
3LDK |
交通 |
横浜線「中山」駅 徒歩28分 |
||||
新築一戸建
【ファミリークローゼット有×東本郷5丁目新築】
新築一戸建
セールスポイント
【閑静な住宅街×ファミリークローゼット有×東本郷5丁目新築戸建】
■JR横浜線「小机駅」から徒歩17分
■パントリー・リネン棚・ファミリークローゼットなど収納充実!
■「アルミ樹脂複合サッシ、断熱性能等級5、一次エネルギー等級6」
所在地 |
神奈川県横浜市緑区東本郷5丁目6-5 |
交通 |
横浜線「小机」駅 徒歩17分 |
|---|---|---|---|
築年数/階数 |
予定 / 2階建 |
販売価格
間取り
建物面積
土地面積
マイページ
詳細
新築一戸建
Vergarden長津田町 新築全4棟
新築一戸建
セールスポイント
【利便性抜群の長津田駅まで徒歩10分の新築分譲地全4低】
◎今なら期間限定で内装・設備のカラーセレクトが可能です!※期間限定すので予告なく終了する場合がございます。
♦3路線利用可能(東急田園都市線・JR横浜線・東急こどもの国線)長津田駅まで10分!
♦カースペース3台可能で、広々とした敷地面積203㎡(内共有58㎡)
♦小学校まで徒歩3分の好立地
所在地 |
神奈川県横浜市緑区長津田町 |
交通 |
東急田園都市線「長津田」駅 徒歩10分 |
|---|---|---|---|
築年数/階数 |
予定 / 2階建 |
販売価格
間取り
建物面積
土地面積
マイページ
詳細
中古一戸建
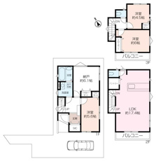
緑区東本郷六丁目中古戸建
中古一戸建
セールスポイント
【令和3年7月築の中古戸建!クロス一部張替え、ハウスクリーニング済!】
◇大人気のリフォーム済み!
◇御嶽前(横浜市営バス)まで3分の好立地!
◇周辺にスーパー・コンビニ・小学校など生活利便性良好です!!
所在地 |
神奈川県横浜市緑区東本郷6丁目7-6-6 |
建物面積 |
94.8㎡ |
||
|---|---|---|---|---|---|
販売価格 |
4299万円 |
築年数 |
築4年 |
間取り |
3LDK+1S(納戸) |
交通 |
横浜線「鴨居」駅 徒歩18分 |
||||
中古一戸建
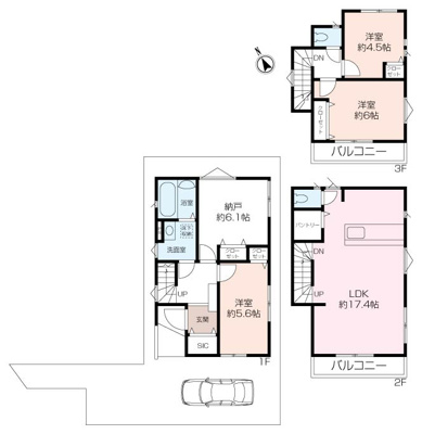
東本郷6丁目中古戸建
中古一戸建
セールスポイント
【築浅×美室内】東本郷6丁目の中古戸建のご紹介です。
□令和3年築で、室内ていねいにお使いのため、美室です!
□オープンタイプのペニンシュラキッチン、お料理中も家族の会話が弾みます。
□玄関にはSIC完備、ベビーカーやアウトドア用品もばっちり収納できます。
□開放感のある17帖超のLDK
□バルコニーは2階と3階にあり、洗濯がたくさん干せます。
□現地ご案内可能、お気軽にお問合せ下さい。
所在地 |
神奈川県横浜市緑区東本郷6丁目 |
建物面積 |
94.8㎡ |
||
|---|---|---|---|---|---|
販売価格 |
4299万円 |
築年数 |
築4年 |
間取り |
3LDK+1S(納戸) |
交通 |
横浜線「鴨居」駅 徒歩18分 |
||||
該当物件8件 1〜8件表示
横浜市緑区周辺の情報
横浜市緑区の戸建て販売情報でよくある質問
横浜市緑区周辺の店舗情報
近くの市区町村から探す
同じエリアにある駅から探す
特集から探す
- 横浜市緑区の日当たり良好な一戸建て
- 横浜市緑区のファミリー向け一戸建て
- 横浜市緑区の築浅一戸建て
- 横浜市緑区の駅徒歩10分以内の一戸建て
- 横浜市緑区の南向き・南道路の一戸建て
- 横浜市緑区のLDK15畳以上の一戸建て
- 横浜市緑区のリフォーム・リノベーション済一戸建て
- 横浜市緑区の海が見える一戸建て
- 横浜市緑区の庭付き一戸建て
横浜市緑区の不動産を別の種別から探す






















































































































































































































































































