横浜市の土地(売地・宅地・分譲地)一覧
「横浜市」で30件の土地が見つかりました。
空室確認や案内のご予約など担当店舗までお気軽にお問い合わせください。 表示されている物件をまとめて問い合わせたり、 お気に入り登録をすると便利です。 また、新着物件の通知や設定中の条件を保存することも可能です。
該当物件30件
×
チェックした物件を
セールスポイント
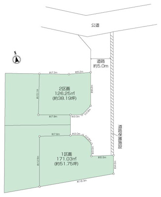
■最終1区画の売地
■駅まで平坦地
■建築条件無しの売地~お好きなハウスメーカーで建築できます
■第一種低層住居専用地域内ですので、閑静な住宅地です
■前面道路も広々としており開放感があります
所在地 |
神奈川県横浜市磯子区森6丁目 |
交通 |
京急本線「屏風浦」駅 徒歩12分 |
|---|---|---|---|
販売価格 |
3,280万円 |
販売価格
敷地面積
建ぺい率/容積率
マイページ
詳細
セールスポイント
京急逗子線「六浦」駅徒歩約11分、京浜急行線「金沢八景」駅徒歩約18分でどちらも平坦な道のりです。現在更地となっておりすぐに建築が可能な土地になります。前面道路との高低差がなくフラットな敷地で、有効敷地面積は広々約38.4坪。建築条件ついていないのでハウスメーカーを自由に選定可能です。弊社でも建築を行っておりますのでプラン作成等お気軽にご相談ください。
所在地 |
神奈川県横浜市金沢区六浦3丁目3-20 |
交通 |
京急逗子線「六浦」駅 徒歩11分 |
|---|---|---|---|
販売価格 |
1,580万円 |
販売価格
敷地面積
建ぺい率/容積率
マイページ
詳細
セールスポイント
旧三井不動産分譲地!敷地面積283.87㎡と広々とした整形地になります!前面道路の幅員も約10.5mございますので駐車で困ることはございません。閑静な住宅街にありながら、近隣には生活施設がございますので、日常生活でも困ることはございません。建築条件無の物件になっておりますのでお好きなハウスメーカー様で建築ができます!ウスイホーム久里浜店・板倉まで。
所在地 |
神奈川県横浜市栄区庄戸1丁目 |
交通 |
京浜東北線「港南台」駅 バス19分 「庄戸一丁目」 停歩2分車19分 |
|---|---|---|---|
販売価格 |
2,600万円 |
販売価格
敷地面積
建ぺい率/容積率
マイページ
詳細
セールスポイント
【杉田と新杉田にほとんど平坦で歩ける利便性】杉田5丁目の売地の紹介です。新杉田駅と杉田駅が最寄り駅として利用できる交通アクセス良好な立地。建築条件はありませんので、お好きなハウスメーカーで建築が可能です。
所在地 |
神奈川県横浜市磯子区杉田5丁目 |
交通 |
京浜東北線「新杉田」駅 徒歩14分 |
|---|---|---|---|
販売価格 |
1,520万円 |
販売価格
敷地面積
建ぺい率/容積率
マイページ
詳細
セールスポイント
【釜利谷東6丁目売地】
◎建築条件なし
◎敷地面積約83坪の広々とした土地※専用通路部分含む
◎緑豊かな自然に囲まれた閑静な住宅街に立地
◎前面道路との高低差少なく、利用しやすい立地
◎釜利谷小学校まで約650m
所在地 |
神奈川県横浜市金沢区釜利谷東6丁目 |
交通 |
京急本線「金沢文庫」駅 徒歩20分 |
|---|---|---|---|
販売価格 |
3,000万円 |
販売価格
敷地面積
建ぺい率/容積率
マイページ
詳細
売地
横浜市戸塚区矢部町土地
売地
セールスポイント
「踊場駅徒歩5分」×「52坪の整形地」
◎矢部小学校まで徒歩2分(160m)お子様の通学も安心♪
◎谷矢部池公園まで徒歩3分(200m)遊具も有、自然たっぷりでのびのび子育てできる環境です。
◎徒歩5分圏内にサミットストア・YAMADA電機・コンビニがあり日々の生活も便利な立地です。
所在地 |
神奈川県横浜市戸塚区矢部町 |
交通 |
ブルーライン「踊場」駅 徒歩5分 |
|---|---|---|---|
販売価格 |
3,980万円 |
販売価格
敷地面積
建ぺい率/容積率
マイページ
詳細
売地
戸塚町古屋付土地
売地
セールスポイント
◇戸塚駅から徒歩圏内です!
◇南側ひな壇の為日当たり良好です!
◇お気軽にお問い合わせください!
所在地 |
神奈川県横浜市戸塚区戸塚町4359-5 |
交通 |
東海道本線「戸塚」駅 徒歩16分 |
|---|---|---|---|
販売価格 |
2,580万円 |
販売価格
敷地面積
建ぺい率/容積率
マイページ
詳細
セールスポイント
大岡3丁目土地 『土地面積約48.97坪』×『建築条件なし売地』
■利便性と住環境に恵まれた閑静な住宅街の『建築条件なし売地』
■建築条件なし売地のため、お好きなハウスメーカー・工務店で建築可能
■土地面積:約48.97坪のゆとりある佇まい。古家2棟の利用も検討可能
所在地 |
神奈川県横浜市南区大岡3丁目 |
交通 |
京急本線「上大岡」駅 徒歩21分 |
|---|---|---|---|
販売価格 |
3,980万円 |
販売価格
敷地面積
建ぺい率/容積率
マイページ
詳細
セールスポイント
◆完成宅地にて引渡し!
◇南西道路、ひな壇の明るい宅地
◆更地での販売につき建築コストを抑えられます
◇整形地につき建物プランが計画しやすいです
◆コンビニも近く、駅には大型スーパーもあります
◇約60坪の敷地につき、ゆとりあるプランニング可能
◆建築条件はありません。参考プランあります。
◇吉原小学校・港南中学校
所在地 |
神奈川県横浜市港南区日野2丁目 |
交通 |
ブルーライン「上永谷」駅 徒歩13分 |
|---|---|---|---|
販売価格 |
3,580万円 |
販売価格
敷地面積
建ぺい率/容積率
マイページ
詳細
セールスポイント
西柴3丁目土地 『東南・南西角地』×『敷地面積約63坪の整形地』
◎敷地はゆとりの約63.48坪。設計の自由度の高い整形地です。
◎東南・南西角地につき、陽当たり・通風良好で開放感があります。
◎建築協定に守られた閑静な住宅街につき、住環境良好です。
◎小学校・中学校・公園まで徒歩10分圏内で子育て環境も良好。
◎建築条件なし売地の為、お好きなハウスメーカー・工務店で建築可能
所在地 |
神奈川県横浜市金沢区西柴3丁目 |
交通 |
京急本線「金沢文庫」駅 徒歩18分 |
|---|---|---|---|
販売価格 |
3,880万円 |
販売価格
敷地面積
建ぺい率/容積率
マイページ
詳細
セールスポイント
◆お好きなハウスメーカー・工務店で建築可能です
◆敷地面積約51坪のゆとりある敷地
◆陽当たり良好です
◆第1種低層の閑静な住宅地内に立地
◆周辺には緑も多く自然を身近に感じる住環境
◆根岸駅まで平坦な道のり
◆建物参考プランのご用意もあります
所在地 |
神奈川県横浜市磯子区磯子6丁目4-26 |
交通 |
京浜東北線「磯子」駅 徒歩23分 |
|---|---|---|---|
販売価格 |
4,480万円 |
販売価格
敷地面積
建ぺい率/容積率
マイページ
詳細
セールスポイント
◆お好きなハウスメーカー・工務店で建築可能です
◆東側・南側の道路に面し、陽当たり良好です
◆第1種低層の閑静な住宅地内に立地
◆周辺には緑も多く自然を身近に感じる住環境
◆根岸駅まで平坦な道のり
◆建物参考プランのご用意もあります
所在地 |
神奈川県横浜市磯子区磯子6丁目 |
交通 |
京浜東北線「磯子」駅 徒歩23分 |
|---|---|---|---|
販売価格 |
3,780万円 |
販売価格
敷地面積
建ぺい率/容積率
マイページ
詳細
セールスポイント
◇整然とした分譲地にある角区画
◆ひな壇地の角地につき、陽当り、眺望良好
◇近くに公園のある雰囲気の良い環境
◆約74坪の敷地につき、ゆとりあるプランニングが可能
◇上郷小学校・上郷中学校
◆小中学校も徒歩5分程の場所にございます
◇建築条件はありません
◆お好きなハウスメーカーで建築可能です
所在地 |
神奈川県横浜市栄区亀井町 |
交通 |
京浜東北線「港南台」駅 徒歩29分 |
|---|---|---|---|
販売価格 |
3,990万円 |
販売価格
敷地面積
建ぺい率/容積率
マイページ
詳細
セールスポイント
岸根公園徒歩9分×白楽15分の2路線利用可
建築条件無しの売地になります。
所在地 |
神奈川県横浜市神奈川区六角橋6丁目 |
交通 |
ブルーライン「岸根公園」駅 徒歩9分 |
|---|---|---|---|
販売価格 |
5,780万円 |
販売価格
敷地面積
建ぺい率/容積率
マイページ
詳細
セールスポイント
【建築条件なし売地】お好きなハウスメーカーで建築可能!
■更地渡し
所在地 |
神奈川県横浜市戸塚区小雀町 |
交通 |
東海道本線「大船」駅 バス22分 「大清水入口(神奈川県)」 停歩3分 |
|---|---|---|---|
販売価格 |
2,380万円 |
販売価格
敷地面積
建ぺい率/容積率
マイページ
詳細
セールスポイント
富岡西1丁目土地 『南西・北西角地』×『東京湾が遠望できる立地』
◎敷地面積はゆとりの約55.5坪。南西・北西角地につき、陽当たり・通風良好
◎緑豊かな住宅街につき、住環境・子育て環境良好です。
◎古家屋上からは東京湾・みなとみらい方面が遠望できる開放感のある立地
◎建築条件なし売地の為、お好きなハウスメーカー・工務店にて建築
◎中古戸建としてもご利用いただけます。※間取り等の詳細は担当まで。
所在地 |
神奈川県横浜市金沢区富岡西1丁目 |
交通 |
京急本線「京急富岡」駅 徒歩15分 |
|---|---|---|---|
販売価格 |
3,980万円 |
販売価格
敷地面積
建ぺい率/容積率
マイページ
詳細
セールスポイント
【中山駅から徒歩10分×南向き×青砥町土地】
■お好きなハウスメーカーで建築していただけます!
■更地渡し!
■土地約39.62坪!
■南向きのため、採光良好!
所在地 |
神奈川県横浜市緑区青砥町 |
交通 |
横浜線「中山」駅 徒歩10分 |
|---|---|---|---|
販売価格 |
4,500万円 |
販売価格
敷地面積
建ぺい率/容積率
マイページ
詳細
売地
戸塚区川上町売地
売地
セールスポイント
東戸塚まで徒歩14分
閑静な住宅地にある分譲地!
約62坪のゆとりある敷地。
建設条件なし!メーカー条件なし!
所在地 |
神奈川県横浜市戸塚区川上町 |
交通 |
横須賀線「東戸塚」駅 徒歩14分 |
|---|---|---|---|
販売価格 |
5,650万円 |
販売価格
敷地面積
建ぺい率/容積率
マイページ
詳細
セールスポイント
「駅まで平坦」×「間口11m」×「建築条件無」×「46坪でゆとりある広さ」
所在地 |
神奈川県横浜市戸塚区汲沢6丁目 |
交通 |
ブルーライン「踊場」駅 徒歩18分 |
|---|---|---|---|
販売価格 |
3,680万円 |
販売価格
敷地面積
建ぺい率/容積率
マイページ
詳細
売地
瀬谷区宮沢二丁目土地
売地
セールスポイント
~横浜市瀬谷区宮沢2丁目 建築条件無売地~
◎緑あふれる住宅街で注文住宅をご検討ください
◎お好きなハウスメーカーで建築できます
◎陽当たりの良い住環境にございます
所在地 |
神奈川県横浜市瀬谷区宮沢2丁目66-6 |
交通 |
相鉄本線「三ツ境」駅 徒歩22分 |
|---|---|---|---|
販売価格 |
1,880万円 |
販売価格
敷地面積
建ぺい率/容積率
マイページ
詳細
投資向け物件
『十日市場』駅徒歩1分!ビル建築・相続対策に!
投資向け物件
セールスポイント
◇ビッグターミナル「横浜」駅まで約25分
◇横浜の玄関口「新横浜」駅まで約15分
◇南北両面道路
◇周辺施設多数あり
所在地 |
神奈川県横浜市緑区十日市場町 |
交通 |
横浜線「十日市場」駅 徒歩1分 |
|---|---|---|---|
販売価格 |
1億2,900万円 |
販売価格
敷地面積
建ぺい率/容積率
マイページ
詳細
売地
港南区上大岡東2丁目土地
売地
セールスポイント
◇上大岡駅徒歩12分の立地!
◇南道路・地下車庫付き!
◇眺望良好!
◇お好きなハウスメーカーにて建築可能です!
◇是非一度お問い合わせください!
所在地 |
神奈川県横浜市港南区上大岡東2丁目 |
交通 |
京急本線「上大岡」駅 徒歩12分 |
|---|---|---|---|
販売価格 |
3,380万円 |
販売価格
敷地面積
建ぺい率/容積率
マイページ
詳細
売地
横浜市泉区下飯田町 土地
売地
セールスポイント
~横浜市泉区下飯田町 建築条件無売地~
◎2線2駅から徒歩7分の利便性の高い立地!
◎お好きなハウスメーカーにて建築ができます
◎緑あふれる便利な環境で新生活をご検討ください
◎約79坪の広々とした土地
所在地 |
神奈川県横浜市泉区下飯田町1393-2,1393-4 |
交通 |
相鉄いずみ野線「ゆめが丘」駅 徒歩7分 |
|---|---|---|---|
販売価格 |
5,280万円 |
販売価格
敷地面積
建ぺい率/容積率
マイページ
詳細
売地
笹下3丁目土地
売地
セールスポイント
■閑静な住宅地内に立地しております
■日下小学校まで約300m。小さなお子様も安心して通学可能
■周辺徒歩圏内に生活施設が充実しております
■バス便利用で上大岡駅もご利用いただけます
所在地 |
神奈川県横浜市港南区笹下3丁目 |
交通 |
京急本線「屏風浦」駅 徒歩20分 |
|---|---|---|---|
販売価格 |
2,380万円 |
販売価格
敷地面積
建ぺい率/容積率
マイページ
詳細
売地
東芹が谷建築条件無し土地
売地
セールスポイント
■土地面積約39坪の整形地。建物参考プランもご用意があります
■南西側6.5m公道に約12m接道。陽当たり・開放感良好です
■前面道路との高低差少なく利用しやすいお土地です
■第1種低層住居専用地域の閑静な住宅地内に立地しています
■芹が谷小学校まで約500m。小さなお子様も安心して通える立地です
■バス便利用で上大岡駅・東戸塚駅も利用可能
■周辺買物施設充実しております
所在地 |
神奈川県横浜市港南区東芹が谷 |
交通 |
ブルーライン「上永谷」駅 徒歩24分 |
|---|---|---|---|
販売価格 |
3,900万円 |
販売価格
敷地面積
建ぺい率/容積率
マイページ
詳細
セールスポイント
釜利谷西6丁目売地 北東・北西角地×整形地
・閑静な住宅街につき、住環境良好
・徒歩5分圏内に公園、ドラッグストアがございます。
・建築条件なし売地のため、お好きなハウスメーカー・工務店にて建築が可能
・土地面積:263.11㎡(=約79.59坪)&角地の開放感ある立地
所在地 |
神奈川県横浜市金沢区釜利谷西6丁目 |
交通 |
京急本線「金沢文庫」駅 徒歩40分 |
|---|---|---|---|
販売価格 |
3,880万円 |
販売価格
敷地面積
建ぺい率/容積率
マイページ
詳細
セールスポイント
【東本郷3丁目古家付き土地】
◎土地坪約106.78坪
◎建築条件無し売地
◎お好きなハウスメーカーで建築可能!
◎区画整理された閑静な住宅街
◎建築協定に守られた住環境・子育て環境良好な立地
所在地 |
神奈川県横浜市緑区東本郷3丁目 |
交通 |
横浜線「鴨居」駅 徒歩20分 |
|---|---|---|---|
販売価格 |
8,780万円 |
販売価格
敷地面積
建ぺい率/容積率
マイページ
詳細
セールスポイント
■建築条件なし売地です。お好きなハウスメーカー・工務店で建築可能です
■土地面積ゆとりの約59坪。建物参考プランもご用意があります
■約6.5m公道に約11.8m接道。陽当たり・開放感良好です
■前面道路との高低差少なく利用しやすいお土地です
■第1種低層住居専用地域の閑静な住宅地内に立地しています
所在地 |
神奈川県横浜市栄区鍛冶ケ谷町 |
交通 |
京浜東北線「本郷台」駅 徒歩18分 |
|---|---|---|---|
販売価格 |
3,780万円 |
販売価格
敷地面積
建ぺい率/容積率
マイページ
詳細
売地
上大岡東2丁目土地
売地
セールスポイント
■京急線・ブルーライン「上大岡」駅徒歩15分!
■建築条件なし土地
■眺望良好です!
■中古戸建としても利用可能です
所在地 |
神奈川県横浜市港南区上大岡東2丁目 |
交通 |
京急本線「上大岡」駅 徒歩15分 |
|---|---|---|---|
販売価格 |
980万円 |
販売価格
敷地面積
建ぺい率/容積率
マイページ
詳細
売地
南舞岡4丁目土地
売地
セールスポイント
■建築条件なし、建物参考プランもございます!
■角地で見晴らしの良い分譲地!
■最寄りバス停まで徒歩3分!
■小学校まで徒歩2分!
所在地 |
神奈川県横浜市戸塚区南舞岡4丁目 |
交通 |
ブルーライン「舞岡」駅 徒歩25分 |
|---|---|---|---|
販売価格 |
4,480万円 |
販売価格
敷地面積
建ぺい率/容積率
マイページ
詳細
チェックした物件を
該当物件30件 1〜30件表示
横浜市鶴見区周辺の情報
横浜市鶴見区の土地販売情報でよくある質問
横浜市鶴見区周辺の店舗情報
近くの市区町村から探す
同じエリアにある駅から探す































































































































































































































































































































































































































































