磯子6丁目建築条件無し土地 2区画 2区画 物件詳細
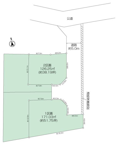
価格価格3780万円 土地面積(坪数)126.25㎡(38.19坪)
磯子6丁目建築条件無し土地 2区画のおすすめポイント
◆お好きなハウスメーカー・工務店で建築可能です
◆東側・南側の道路に面し、陽当たり良好です
◆第1種低層の閑静な住宅地内に立地
◆周辺には緑も多く自然を身近に感じる住環境
◆根岸駅まで平坦な道のり
◆建物参考プランのご用意もあります
物件情報
物件名 |
磯子6丁目建築条件無し土地 2区画 |
価格 |
3780万円 |
|---|---|---|---|
所在地 |
神奈川県横浜市磯子区磯子6丁目 |
交通 |
京浜東北線 磯子駅 徒歩23分 |
土地の敷金/保証金 |
-/- |
借地料/借地期間 |
-/- |
土地面積(坪数) |
126.25㎡(38.19坪) |
坪単価 |
98.98万円 |
私道負担面積/セットバック |
181㎡/無 |
高圧線下面積 |
- |
傾斜地部分面積 |
- |
路地状敷地 |
- |
土地権利 |
所有権 |
接道状況 |
一方(東 私道 5m)(南 私道 5m) |
都市計画 |
市街化区域 |
用途地域 |
第一種低層住居専用 |
建築条件 |
無 |
地目/地勢 |
宅地/平坦 |
建ぺい率 |
40% |
容積率 |
80% |
総区画数 |
- |
販売区画数 |
- |
国土法届出要否 |
不要 |
その他の法令上の制限 |
風致地区 |
取引態様 |
専任媒介 |
現況 |
更地 |
引渡時期 |
即時 |
引渡条件 |
現況渡 |
最適用途 |
住宅用地 |
||
設備 |
日当たり良好/閑静な住宅地/都市ガス/公営水道/公共下水 |
||
備考 |
◆東側・南側の道路に面し、陽当たり良好です |
||
管理コード |
96740518 |
||
情報更新日 |
2025年11月03日 |
取引条件の有効期限 |
2025年11月17日 |
※地図上に表示される物件の位置は付近住所に所在することを表すものであり、実際の物件所在地とは異なる場合がございます。
取り扱い店舗
神奈川県知事 (12) 第10799号
所在地 |
神奈川県横浜市港南区上大岡西1丁目10-11 |
||
|---|---|---|---|
TEL |
0120-938-175 |
|---|
物件番号 |
96740518 |
|---|
お電話でお問い合わせの際は |
お問い合わせ
磯子6丁目建築条件無し土地 2区画
価格3780万円
- / - / - / 126.25㎡
物件番号 |
物件種別 |
所在地 |
価格 |
面積/間取り |
|---|---|---|---|---|
96740518 |
売地 |
神奈川県横浜市磯子区磯子6丁目 |
3780万円 |
126.25㎡/- |
- 入力
- 完了
